Skip to main content
An official website of the United States government
Here's how you know
U.S. Department of Health and Human Services
National Institutes of Health
NIH Grants and Funding
The .gov means it’s official.
Federal government websites often end in .gov or .mil. Before sharing sensitive information, make sure you’re on a federal government site.
The site is secure.
Federal government websites often end in .gov or .mil. Before sharing sensitive information, make sure you’re on a federal government site.
Commons Login
ASSIST Login
Search this site
FAQS
Subscribe
Glossary
eRA Intranet
Need Help?
☰
Search
Home
Home
NEW TO eRA COMMONS
Applicants
To Apply
How to Apply — Application Guide
Preparing Your Application Using ASSIST
Information for System-to-System Developers
Seek Prior Approval for Withdrawal of Application
Have a Referee Submit A Reference Letter (If Needed)
After Submission
Submit, Track, and View Application
View Review Outcome
Submit Just-in-Time (If Needed)
View Notice of Award
Recipients
Post-Award Actions
View Notice of Award
Submit Reports
Manage Publications
Submit No Cost Extensions
Report Inventions (If Needed)
Submit Relinquishing Statement (If Needed)
Submit Administrative Supplements
Seek Prior Approval (If Needed)
Manage Trainees, and Fellows
Closeout
Submit Closeout
Submit Federal Financial Report (FFR)
Submit Final RPPR
Submit Final Invention Statement
Submitting Data on R&D Contracts
Reviewers
Pre-Meeting
Access IAR
Fill out Personal Profile; Reviewer Reimbursement Info
Certify Confidentiality Statement
Certify Employment
Check Conflicts (Recruitment Phase)
Certify Pre-Meeting COI
Take Required Review Integrity & Bias Awareness Training
Access Meeting Materials
Access Applications
Access Critique Template(s)
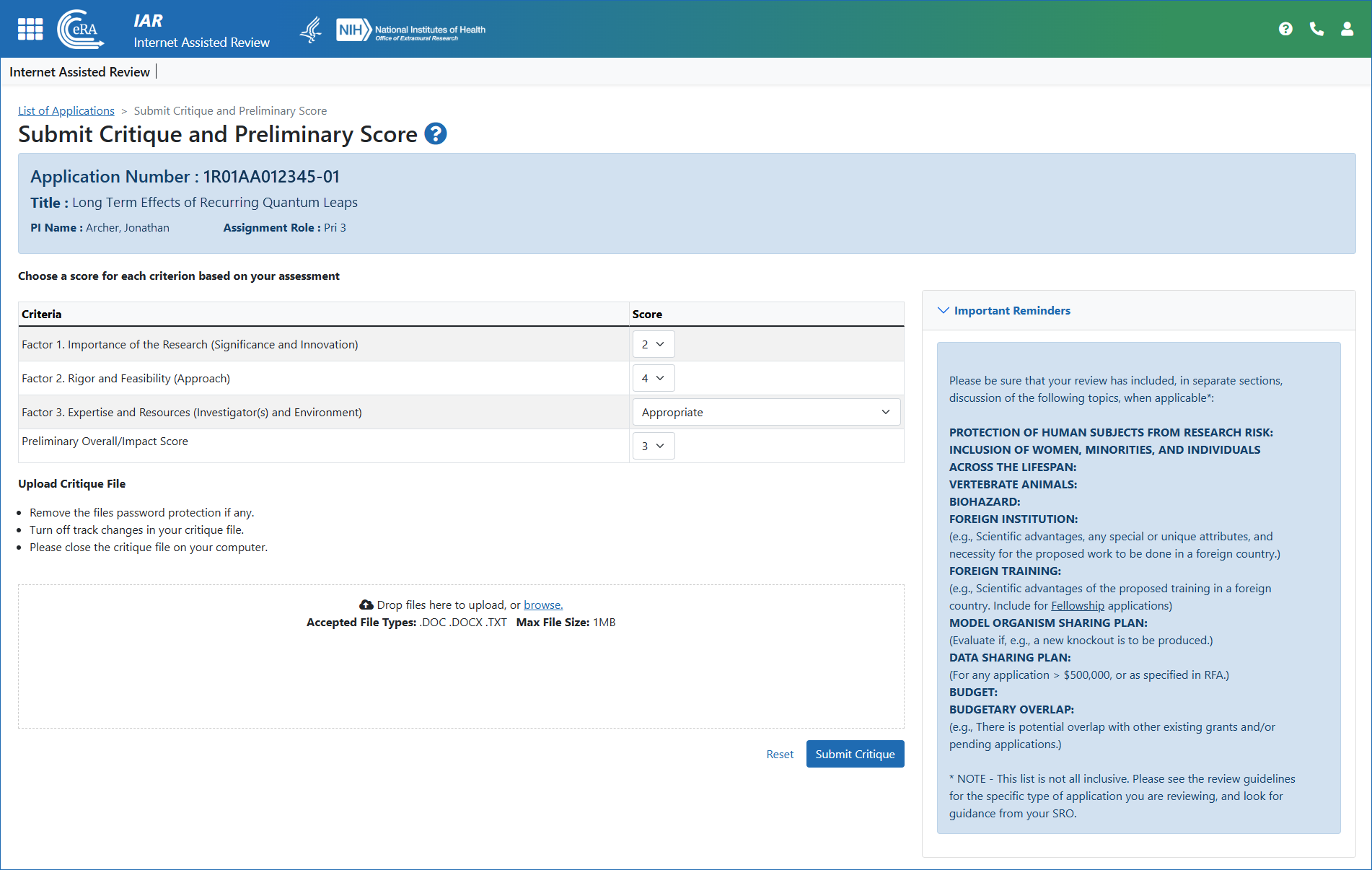
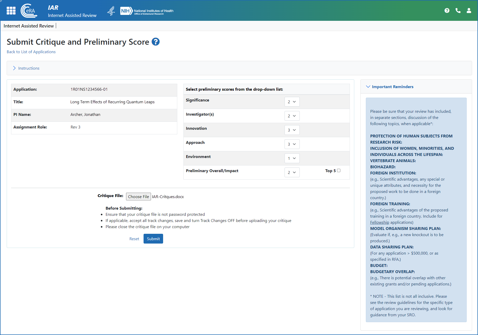
Submit & Manage Word Critiques, Scores
Fill Out and Submit Online Critiques
View Other Reviewers Critiques
At Meeting
Submit Final Scores
Post-Meeting
Certify Post-Meeting COI
Edit Critiques
Accounts
How to
Understanding eRA Commons Accounts
Register Your Institution in eRA Commons
Manage Institutional Profile
Two-Factor Authentication:
Access eRA Modules via Login.gov
Two-Factor Authentication:
Access eRA Modules via an InCommon Federated Account
Manage Accounts
Create and Edit an Account
Account Roles
Manage Delegation
Manage Personal Profile
Change Password
Manage Affiliation
News
About
e
RA | AGENCY PARTNERSHIP
FAQs
Subscribe
Glossary
eRA Intranet
Need Help?
Home
Reviewers
Submit & Manage Word Critiques, Scores
This page last updated on April 23, 2025
Technical Issues:
E-mail OER Webmaster