Virtual Meeting Scoring

Preliminary Scores

The process for entering "Preliminary Scores" remains the same as with traditional meetings. However, there is an additional "Discussion Initial Comments" text box in the Submit Critiques and Scores page for Virtual Meeting applications. This is where reviewers have the option to provide comments to help to initiate discussion of the application prior to the start of the DISCUSSION phase. These comments can be submitted when the reviewer submits their critique as well as during the READ phase. During the READ phase, the "Initial Comments" link will appear in the Action column to facilitate this process. All other fields on the screen, other than the "Discussion Initial Comments" text box, will be disabled.

To access the Submit Critiques and Preliminary Score page, click on the "Submit Critique" option under the three-dot ellipses icon in the Application Number (Opportunity Number) column of the List of Applications screen. The Discussion Initial Comments box will be under the application information. Enter any comments, provide preliminary scores, attach the critique file, and then click on the Submit button.

ClosedSubmit Critique and Preliminary Score screen for three factor evaluation opportunities.

Submit Critique and Preliminary Score screen for three factor evaluation opportunities

ClosedSubmit Critique and Preliminary Score screen for five scored criterion opportunities.

Discussion Initial Comments text box in the Submit Critique and Preliminary Score page

Discussion Scores

For Virtual Meetings, reviewers will provide discussion scores on the main Virtual Meeting Discussion Dashboard screen. These are numeric scores that the reviewers use to indicate current enthusiasm for the application. They are informative only and carry no weight in the final scoring. Reviewers may update their discussion score multiple times throughout the DISCUSSION phase.

The general scoring process for Virtual Meetings remains the same as it is for face-to-face meetings. (see the Submitting Critiques and Scores section for more detail on standard scoring)

To access the VM Discussion Dashboard and provide a score, click on the View List of Applications link from the list of meetings. (Closedclick to view)

View List of Applications link by clikcking the three-dot ellipses icon from the List of Meetings screen

From the View List of Applications page, click on the three-dot ellipsis icon and select the Go To Discussion option from the menu to go to the Discussion Board page for that application. (Closedclick to view)

"Go To Discussion" option from the three-dot ellipsis icon on List of Applications screen

On the VM Discussion Dashboard page, in the Reviewers and Scores section, there will be an Enter/Edit Discussion Score button in the title bar. Clicking on this button will open a Closedpop-up window to allow the reviewer to record their score.

Select Discussion Score pop-up window

If a score has already been entered, it can be edited directly in the ClosedDiscussion Score field. This may be desired after additional discussion comments are reviewed.

Showing the Enter Discussion Score buttons on the Discussion Board page

Select Discussion Score window

Once the score has been selected and the Save button is clicked, the reviewer will be taken back to the VM Discussion Dashboard page for that application.

Final Scores

The Final Score Sheet may be accessed via theClosed Go To: drop-down menu from the Virtual Meeting List of [All/My] Applications screen.

Go To: drop-down menu option to select Final Score Sheet

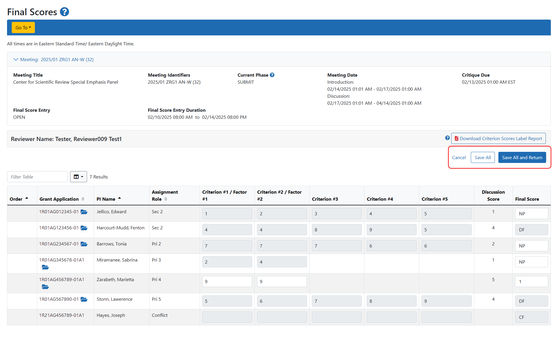
Choosing the Final Score Sheet from the Go To: menu will open theClosed Final Scores screen which will list all of the applications in that meeting and provide fields for the Criterion Scores as well as the Final Scores.

Final Score Sheet.

After scores are entered, the reviewer has the option to use the Save All button to save the changes and remain on the screen. Additionally, the reviewer may choose the Save All and Return button to go to the previous page or the Cancel button to make no changes and return to the previous page.

For individual applications, the Virtual Meeting Discussion Dashboard screen has an ClosedEnter Final Score button in the Reviewers and Scores section which opens up a pop-up screen for entering criteria and final scores for this application only.

Enter Final Score Button in Reviewers and Scores section.

If the Enter Final Score button is clicked, a pop-up window will open allowing entry of the Final score for that one application. Click theClosed Save button to save the score.

Enter Final Score window